Exclusiva: Tras un tiempo viviendo en Miami, a pocos días de reinstalarse en el que espera sea el nuevo hogar de su familia, Haydée Milanés abre la puerta para los lectores de ADN Cuba
Reportan los feminicidios de una señora de alrededor de 60 años en La Habana, y de otra mujer en Guantánamo. Además, colectivos independientes registraron también un intento de feminicidio
El ministro de Relaciones Exteriores de Cuba no se reunirá con Josep Borrell, alto representante de la Unión Europea para Asuntos Exteriores y Política de Seguridad Común, y vicepresidente de la Comisión Europea
Periodista, editor y fotorreportero. Colaborador de medios digitales cubanos y extranjeros. Premio Nacional de Periodismo Cultural “Rubén Martínez Villena” (Cuba, 2018). En Perú ha publicado en el diario nacional El Comercio y en LaMula.pe
El cadáver de un migrante cubano desaparecido en un naufragio esta semana cerca de los Cayos de la Florida, fue encontrado por la Guardia Costera de los Estados Unidos
Diasniurka Salcedo Verdecia, quien coordina y entrega medicamentos y otro tipo de ayudas para personas vulnerables, arremetió en redes sociales contra el gobernante Díaz-Canel
El Observatorio Cubano de Derechos Humanos informó sobre el fallecimiento en la isla del joven preso Andy Reyes Cruz, “tras más de 50 días en huelga de hambre”
La periodista cubana Claudia Padrón Cueto acusó al gobernador de Pinar del Río, Rubén Ramos Romero, de mentir durante una entrevista sobre la recuperación tras el paso del huracán
José Ramón Bauzá Díaz, diputado al Parlamento Europeo, anunció que apadrinará ante la comunidad internacional al preso político cubano José Daniel Ferrer
Un video viral muestra la llegada de un grupo de siete balseros cubanos a las costas de la Florida, tras desafiar el oleaje y la lluvia en alta mar provocada por el huracán Ian
Activistas denuncian que la prensa oficial del régimen comunista de Cuba reproduce propaganda del gobierno de Irán contra las protestas masivas a favor de los derechos de la mujer
El diario oficial Granma publicó que “hoy es día de victoria” por el aniversario 62 de los Comité de Defensa de la Revolución, mientras gran parte de la isla sufre daños por Ian
Soraya Rodríguez, diputada del Parlamento Europeo, pidió la “inmediata liberación” del maestro y preso político cubano Pedro Albert Sánchez, convaleciente tras una huelga de hambre
Cubadebate, vocero del Partido Comunista de Cuba, publicó una “explicación” de la empresa estatal Unión Eléctrica por el apagón general que dejó a oscuras a toda la isla
El conocido youtuber cubano Dagoberto “Daguito” Valdés, especializado en contenidos de deporte, lamentó la devastación provocada por el huracán Ian en Pinar del Río
Medios de prensa del régimen de Cuba publican artículos en los cuales se culpa a los Estados Unidos y otros países occidentales de protestas en Irán por la muerte de Mahsa Amini
El popular cantante de música urbana conocido como Wampi canceló la promoción de su próximo tema musical, en solidaridad con los afectados en Cuba por el paso del huracán Ian
El maestro Pedro Albert Sánchez, preso político en Cuba, depuso el domingo su huelga de hambre y sed, tras una semana exigiendo justicia, confirmó su hijo a ADN Cuba
El paso del huracán Ian este martes por la provincia de Pinar del Río, en Cuba, dejó daños severos en la Finca Robaina, una de las plantaciones de tabaco más famosas del mundo
El Observatorio de Libertad Académica respaldó a Aliannys Cruz Pérez, una madre y maestra cubana que la semana anterior criticó en redes sociales a las autoridades comunistas
Dos subsidiarias de Crédit Agricole Group acordaron pagar más de 1,12 millones de dólares para resolver presuntas violaciones de las sanciones a Cuba y otros regímenes
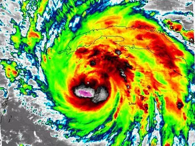
Ian se convirtió en la tarde de este lunes en un ciclón categoría 2 al alcanzar vientos máximos sostenidos de 100 millas por hora (mph), según el Centro Nacional de Huracanes
Las activistas Berta Soler y María Cristina Labrada, integrantes del movimiento defensor de los derechos humanos Damas de Blanco, fueron detenidas y recibieron multas este domingo
El pintor Yulier P denunció que el artista visual Dayan Melián Castro fue detenido en La Habana tras expresar en público su desacuerdo con el nuevo Código de las Familias
El escritor y funcionario negó en la televisión nacional de Cuba que el fallecido dictador Fidel Castro tuviera responsabilidad en la persecución de homosexuales y los campos UMAP
“El dengue continúa siendo la situación higiénico sanitaria más compleja que tenemos hoy en el país”, declaró José Ángel Portal Miranda, titular de Salud Pública