Skip to main content

Huracán Melissa llega a Jamaica y estaría entrando al oriente cubano el miércoles

Las autoridades cubanas indicaron que actualmente el ciclón se ubica a 205 kilómetros al sur de Cabo Cruz, Granma y a 320 kilómetros al suroeste de la ciudad de Santiago de Cuba.

Image
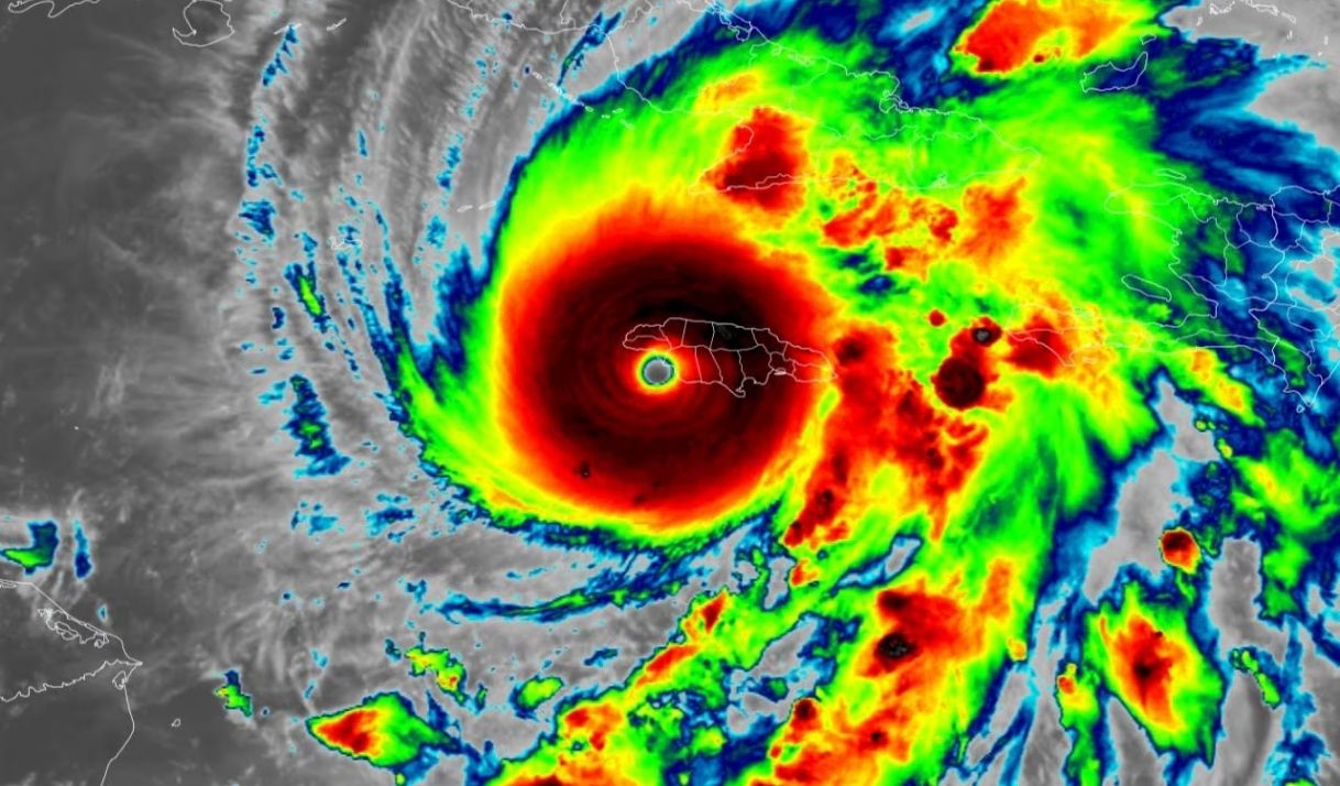
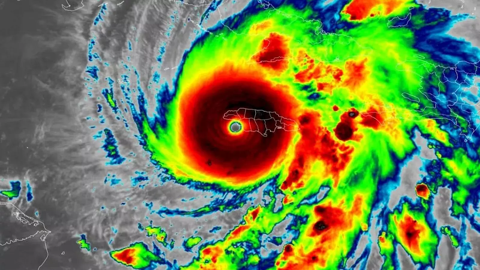
Huracán Melissa tocó tierra en Jamaica este 28 de octubre.
CSU-CIRA/RAMMB/NOAA | Huracán Melissa tocó tierra en Jamaica este 28 de octubre.

Creado: October 28, 2025 12:32pm

Actualizado: October 28, 2025 1:56pm

El huracán Melissa, de categoría 5, ya tocó tierra en el sur de Jamaica al mediodía de este martes y pronósticos indican que llegaría al oriente cubano el miércoles.

De acuerdo con reportes internacionales, este fenómeno meteorológico sea posiblemente el más devastador que ha azotado al país caribeño, con vientos cercanos a los 300 kilómetros por hora.

“Para Jamaica será la tormenta del siglo hasta ahora”, declaró Anne-Claire Fontan, de la Organización Meteorológica Mundial.

Mientras, en el Aviso de ciclón tropical no. 19 del Centro de Pronósticos del Instituto de Meteorología (INSMET), las autoridades cubanas indicaron que actualmente el ciclón se ubica a 205 kilómetros al sur de Cabo Cruz, Granma y a 320 kilómetros al suroeste de la ciudad de Santiago de Cuba.

Debido a que aumentó su velocidad de traslación a 15 kilómetros por hora, se irá aproximando a la costa sur del Oriente cubano en la tarde-noche de este martes, para tocar tierra el miércoles.

"El huracán Melissa experimentará fluctuaciones en su intensidad, no obstante, se mantendrá como un huracán de gran intensidad a su paso por Cuba. Las bandas externas de este huracán ya afectan la región oriental de Cuba, generando chubascos y lluvias, que llegarán a ser numerosas desde la tarde desde Camagüey hasta Guantánamo", añade el parte oficialista.

A partir de la noche de este martes ya se esperan inundaciones y fuertes lluvias en la isla.

Las lluvias del fin de semana provocadas por el huracán, ya dejan al menos un fallecido en el país, por la crecida del río Sagua de Tánamo, en Holguín. Otra persona continúa desaparecida.

Semanas atrás, a finales de septiembre, fuertes lluvias azotaron el oriente de la isla y dejaron al menos dos fallecidos.

Las lluvias fueron provocadas por la tormenta tropical Imelda.

ADNCUBA

Fundada en 2017, ADN Cuba es un medio de comunicación independiente comprometido con la libertad y la democracia en Cuba. Su misión principal es informar sobre la realidad del país, destacando las voces de la sociedad civil, activistas y disidentes que son silenciados por los medios oficiales del régimen cubano. A través de una cobertura rigurosa, ADN Cuba denuncia las violaciones de derechos humanos en la isla y se posiciona como un espacio para la libre expresión y la defensa de los valores fundamentales de una sociedad democrática.


Tendencias